母猪藤,中药名。为葡萄科乌蔹莓属植物尖叶乌蔹苺的茎叶。植物尖叶乌蔹苺,分布于西南及陕西、甘肃、湖北、湖南等地。那么,母猪藤多少钱一斤?与绞股蓝有什么区别?功效及作用有哪些?

母猪藤多少钱一斤?
母猪藤价格并不贵。一般晒干的母猪藤在10元/斤左右。不过母猪草在田间山上有很多野生的,有需要的朋友也可以去采摘一些野生的母猪藤来用。

母猪藤与绞股蓝有什么区别?
1.科属的比较
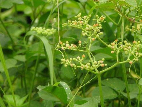
绞股蓝为葫芦科绞股蓝属草质攀援植物;母猪藤为葡萄科乌蔹莓属草质藤本植物。
2.茎的比较
绞股蓝茎纤细,表面棕色或暗棕色,具纵沟,被稀疏毛茸;母猪藤茎圆柱形,扭曲,有纵棱,多分枝,带紫红色。
3.卷须的比较
绞股蓝的卷须已裂或不裂,与叶同列一侧,长在叶腋;母猪藤卷须与叶对生,卷须二歧分叉,长在叶子对面。

4.花以及花序的比较
绞股蓝的花单性,为圆锥花序,黄色,雌雄异株。母猪藤的花两性,为聚伞花序,腋生。
5.花的结构比较
绞股蓝的花萼及花冠裂片5,花小,雌花子房下位,球形。母猪藤的花为两性花;萼不明显;花瓣4,黄绿色;雄蕊4,与花瓣对生;花盘小,4裂,与子房合生。
6.果实形状以及气味的比较
绞股蓝的浆果为球形,两面有小疣状凸起;具草香气,味苦。母猪藤的果实为浆果、卵圆形,成熟时黑色。气微、味苦涩。
7.叶片的比较
绞股蓝叶鸟足状5-7(—9)小叶,叶柄长2-4厘米,有柔毛;小叶片卵状矩圆形或矩圆状披针形,总叶柄以及小叶柄基部均为绿色或浅绿色;母猪藤、小叶5,很少为3或7,中间小叶椭圆状卵形,总叶柄以及小叶柄基部均为红色或浅红色。

母猪藤功效及作用有哪些?
1.具有舒筋活血之功效。主治骨折。
2.入药具有清热利湿、解毒消肿的功效,对热毒痈肿、疔疮、丹毒、咽喉肿痛、蛇虫咬伤、水火烫伤、风湿痹痛、黄疸、泻痢、白浊、尿血等有治疗作用。





