葡萄的霜霉病是我国葡萄的第一大病害,主要危害葡萄叶片,也可以危害花序,花蕾,果实等其他部位,对葡萄产业影响很大。那葡萄霜霉病打什么药?防治方法有哪些?

一、 发病症状
在春季、夏季多雨、潮湿的地区,霜霉病发生严重。冬季和春季冷(没有雪)的地区,会抑制霜霉病发生。
霜霉病可以危害、浸染葡萄的任何绿色部分或组织,但主要危害叶片(也可危害花序、花蕾、果实、新梢等),造成叶片早落、早衰,影响树势和营养储藏(果实、枝条、根系), 从而成为果实品质下降。霜霉病也是造成葡萄冬季冻害(冬芽、枝条、根系)、春季缺素症、花序发育不良等的重要原因。霜霉病发生早,危害嫩梢,嫩梢扭曲、死亡;危害花序和小幼果,造成整个或部分花序(果穗)干枯、死亡,或影响水分和养分的运输,加重或引起中期气灼病、后期干梗等。主要症状:
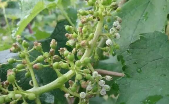
(1)叶片:霜霉病危害叶片,初期为细小、淡黄色、水浸状的斑点,而后在叶正面出现黄色或褐色、不规则、边缘不明显的病斑,背面形成白色、密集、棉团状霉层。叶片的老化程度不同(嫩叶、中等、老叶)、被侵染的时间长短不同,正面病斑的颜色会有不同:油状浅黄、黄、红褐色;病斑的形状也有不同表现:没有边缘叶斑、发展为被叶脉限制的角斑状。发病严重时,数个病斑连在一起,叶片焦枯、脱落。
(2)花梗、果梗、新梢、叶柄:霜霉病为害果梗、花梗、新梢、叶柄,最初形成浅颜色(黄、浅黄色)水浸状斑点,之后发展为形状不规则的病斑,颜色变深,为黄褐或褐色。天气潮湿时,会在病斑上出现白色霜状霉层;天气干旱、干燥时,病部凹陷、干缩、造成扭曲或枯死。
(3)花蕾、花、幼果:最初形成浅绿色病斑,之后颜色变深,呈深褐色。开花前后造成落花落果。大一些的幼果,感病初期,病斑颜色浅,为浅绿色,之后变深,变硬,随果粒增大形成凹陷病斑,天气干旱、干燥时,病粒凹陷、僵化、皱缩脱落。
霜霉病最容易识别的特征,是白色的霜状霉层。

二、发病的条件
葡萄霜霉病属真菌,是专性寄生菌。发病条件主要有三方面:
1、园地有霜霉病病原菌。上年度霜霉病病原菌,主要以卵孢子在落叶中越冬。冬季雨雪多、大雪覆盖的地区和年份,霜霉病越冬基数高。卵孢子在自由水温度达到11℃时萌发,产生孢子囊,孢子囊释放游动孢子,游动孢子通过雨水飞溅传播到葡萄上,成为春天的最初传染源,又产生孢子囊,进行再侵染。
2、湿度和水分是发病的主要因子。孢囊梗、孢子囊的形成,需要95%~100%湿度。霜霉病的发生及发生程度是由湿度和水分决定的。任何使水分和湿度增加的因素,都会导致霜霉病发生。潮湿的冬天,卵孢子越冬基数(成活率)高;潮湿的春天导致发生早;夏季雨水不但提供了爆发的条件,而且会刺激新梢、幼叶的生长和组织含水量的增加,使植株更加感病(抗病性降低),从而导致病害流行和大爆发。春、夏季节雨水、多雾、露水多,成了诱发本病的主要原因。
3、温度。霜霉病发生的最适宜温度为22~25℃,一般在10~30℃,高于30℃或低于10℃都会抑制霜霉病的发生。在初夏、秋季雨水多、温度又适宜,因而也就成了霜霉病的高发季节。
霜霉病的侵染一般发生在早晨。自侵染到发病(出现症状)需要4天,但由于叶片的老化程度不同、品种不同、温度和湿度不同,出现症状前的潜育期长短也会有区别,一般为4~13天,甚至超过20天。

三、防治措施
1、结合冬季修剪进行彻底清园,剪除病、弱枝梢,清扫枯枝落叶,集中烧毁;秋冬季深翻耕,雨后及时排出积水。加强葡萄园的管理,春、夏、秋季修剪病枝、病蔓、病叶,锄掉园中杂草,排水要好,适当增施磷、钾肥,每次施肥最好加入海精灵功能肥,以此增强植株抗逆能力和抗病菌能力。
2、调节室内的温湿度,特别在葡萄坐果以后,室温白天应快速提温至30℃以上,并尽力维持在32--35℃,以高温低湿来抑制孢子囊的形成、萌发和孢子的萌发侵染。下午16时左右开启风口通风排湿,降低室内湿度,使夜温维持在10--15℃,空气湿度不高于85%,用较低的温湿度抑制孢子囊和孢子的萌发,控制病害发生。
3、葡萄发芽前,可在植株和附近地面喷1次3—5波美度的石硫合剂,以杀灭菌源,减少初侵染。从6月上旬坐果初期开始,喷施下列药剂进行预防:75%百菌清可湿性粉剂600—800倍液;80%代森锰锌可湿性粉剂600—800倍液;70%丙森锌可湿性粉剂400—600倍液;56%氧化亚铜悬浮剂800—1000倍液;70%百菌清·福美双可湿性粉剂600—800倍液;50%多菌灵·福美双可湿性粉剂400—500倍液;77%硫酸铜钙可湿性粉剂500—700倍液;80%波尔多液可湿性粉剂300—400倍液;78%波尔多液·代森锰锌可湿性粉剂500—600倍液;77%氢氧化铜可湿性粉剂600—700倍液;50%克菌丹可湿性粉剂400—500倍液;50%灭菌丹可湿性粉剂200—400倍液等。
4、在病害发生初期,可用下列药剂:1.5%多抗霉素可湿性粉剂300—500倍液;68.75%恶唑菌酮·代森锰锌可分散粒剂800—1200倍液;68%精甲霜灵·代森锰锌水分散粒剂550—660倍液;60%吡唑醚菌酯·代森联水分散粒剂1000—2000倍液;66.8%丙森锌·缬霉威可湿性粉剂700—1000倍液;25%烯酰吗啉·松脂酸铜水乳剂800—1000倍液;69%烯酰吗啉·代森锰锌可湿性粉剂1000—1500倍液;40%克菌丹·戊溴醇悬浮剂1000—1500倍液;50%氟吗啉·三乙膦酸铝可湿性粉剂800—1500倍液;50%嘧菌酯水分散粒剂5000—7000倍液;58%甲霜灵·代森锰锌可湿性粉剂300—400倍液;50%甲霜灵·乙磷铝可湿性粉剂750—1000倍液;72%甲霜灵·百菌清可湿性粉剂800—1000倍液,喷雾时要注意叶片正面和背面都要喷洒均匀。
5、病害发生中期,可用下列药剂:50%甲呋酰胺可湿性粉剂800—1000倍液;25%甲霜灵可湿性粉剂500—800倍液;50%恶霜灵可湿胜粉剂2000倍液;20%唑菌胺酯水分散粒剂1000—2000倍液;25%烯肟菌酯乳油2000—3000倍液;10%氰霜唑悬浮剂2000—2500倍液;12.5%噻唑菌胺可湿性粉剂l000倍液;25%甲霜灵·霜霉威可湿性粉剂600—800倍液;25%双炔酸菌胺悬浮剂2250—4500倍液;25%烯肟菌胺·霜振氰可湿性粉剂22504500倍液;80%三乙磷酸铝可湿性粉剂40060例吝液;50%烯酰吗啉可湿性粉剂800150日倍液,为防止病菌产生抗药性,杀菌剂应交替使用。
冬季雨雪比较多的地区,发芽后至开花前,是重点防治时期之一;冬季干旱、春季雨水多,要注意花前、花后的防治;一般情况,应注意雨季、立秋前后的防治。喷洒药剂要均匀、周到,重点部位是叶片的背面,但同时要注意开花前、后喷洒花序和果穗。





